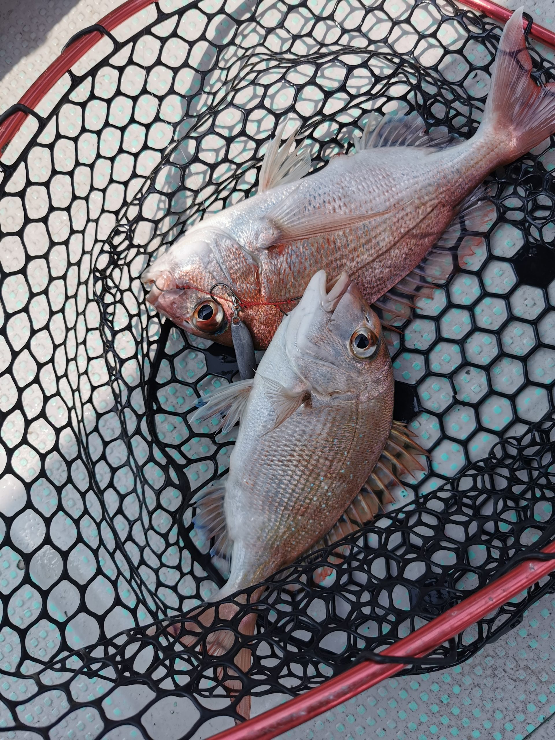
写真だけかとおもいきやクーラーボックスに鯛、アコウ20匹隠されていたみたい😁 すごいな!!みなさん楽しんで貰えたみたいで良かった!船長お疲れ様でした。

ネコノテジグ60g ¥850.-(税込)
9/17より販売開始致します。数に限りがありますので気になる方はお早めに連絡下さい。ご注文・お問い合わせはコチラ
写真だけかとおもいきやクーラーボックスに鯛、アコウ20匹隠されていたみたい😁 すごいな!!みなさん楽しんで貰えたみたいで良かった!船長お疲れ様でした。

ネコノテジグ60g ¥850.-(税込)
9/17より販売開始致します。数に限りがありますので気になる方はお早めに連絡下さい。ご注文・お問い合わせはコチラ
ネコノテジグ・・・・
お子様から女性、ベテランの方まで、驚くほど簡単に釣れちゃいます^^
おかげさまで大好評頂いてる、
ネコノテジグのご注文・お問い合わせはコチラ
Shot on Tenya Vol.1 「AM05:30〜AM09:30」
朝一番からの最高にメローな時間の流れがいい感じです。気持ちいい〜しまなみ海道のロケーションやばいっす。
Shot on Tenya Vol.2 「AM09:30〜PM13:00」
ダブルヒット、トリプルヒット、4連チャンそんな時合いが1日に1回はあるのです^^こりゃたまらんです☆
2015年11月23日(月)参加プレイヤー総勢60名で第二回太刀魚大会行いました。
景品目指して気合い入りすぎたのか、日が悪かったのか釣果は渋かったけれども、天候にも恵まれて無事に終えることができました。改めまして大会に参加して頂いた皆さまはじめ、大会運営に携わって頂いた皆さまありがとうございました。
今回は上位12名の皆さまに景品用意させていただきました。満足してもらえたはず?
第4位から第12位の皆さまはコチラ(こだまさんとこのBLOGへ)
次回大会は2016年を予定しておりますが、全てをパワーアップして開催できたらと思っています。瀬戸内はしまなみ海道周辺の遊漁船での釣りがほんの少しでも盛り上がれば嬉しいからです。【継続は力なり】頑張りますので、皆さまゆるりと応援宜しくお願いします。